|
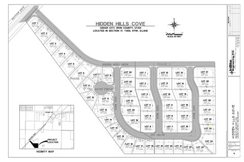
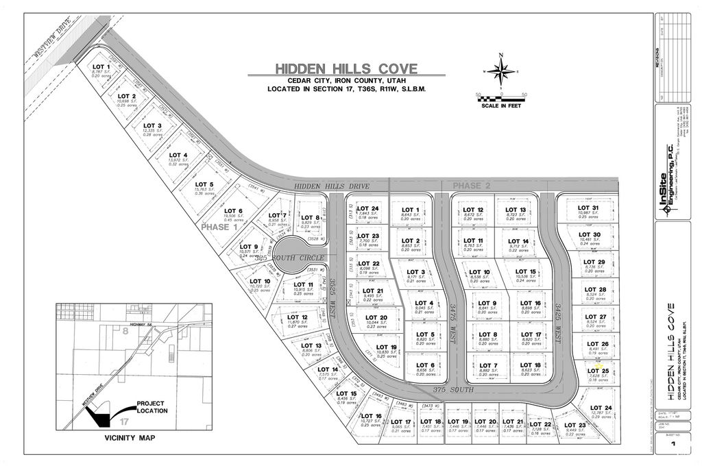
You can build a walk out basement or ADU home on this lot and enjoy sunset views! All of the utilities are stubbed to the lot and it is surrounded by a well established neighborhood! Come build your dream home! CCR's in place, NO HOA. Lot 26: Hidden Hills
| DAYS ON MARKET | 1 | LAST UPDATED | 12/22/2025 |
|---|---|---|---|
| TRACT | HIDDEN HILLS COVE | YEAR BUILT | 0 |
| COMMUNITY | Cedar Cty; Enoch; Pintura | COUNTY | Iron |
| STATUS | Active | PROPERTY TYPE(S) | Lot/Land/Acreage |
| Elementary School | South |
|---|---|
| Jr. High School | Cedar Middle School |
| High School | Cedar |
| ADDITIONAL DETAILS | |
| AIR | None |
|---|---|
| AREA | Cedar Cty; Enoch; Pintura |
| HEAT | None |
| LOT | 8712 sq ft |
| LOT DIMENSIONS | 0.0x0.0x0.0 |
| SUBDIVISION | HIDDEN HILLS COVE |
| TAXES | 330 |
| VIEW | Yes |
| VIEW DESCRIPTION | Mountain(s) |
| ZONING | R-2 |
MORTGAGE CALCULATOR
TOTAL MONTHLY PAYMENT
0
P
I
*Estimate only
| SATELLITE VIEW |
| / | |
We respect your online privacy and will never spam you. By submitting this form with your telephone number
you are consenting for Olivia
Pelton to contact you even if your name is on a Federal or State
"Do not call List".
Listed with Golden Spike Realty
The multiple listing information is provided by UtahRealEstate.com from a copyrighted compilation of listings. The compilation of listings and each individual listing are © 2025 UtahRealEstate.com, All Rights Reserved. The information provided is for consumers' personal, non-commercial use and may not be used for any purpose other than to identify prospective properties consumers may be interested in purchasing. Information deemed reliable but not guaranteed accurate. Buyer to verify all information.
This IDX solution is (c) Diverse Solutions 2025.


