|
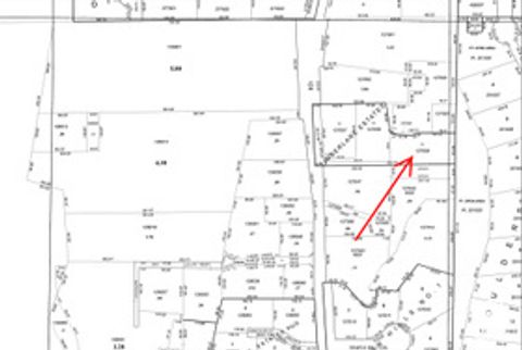
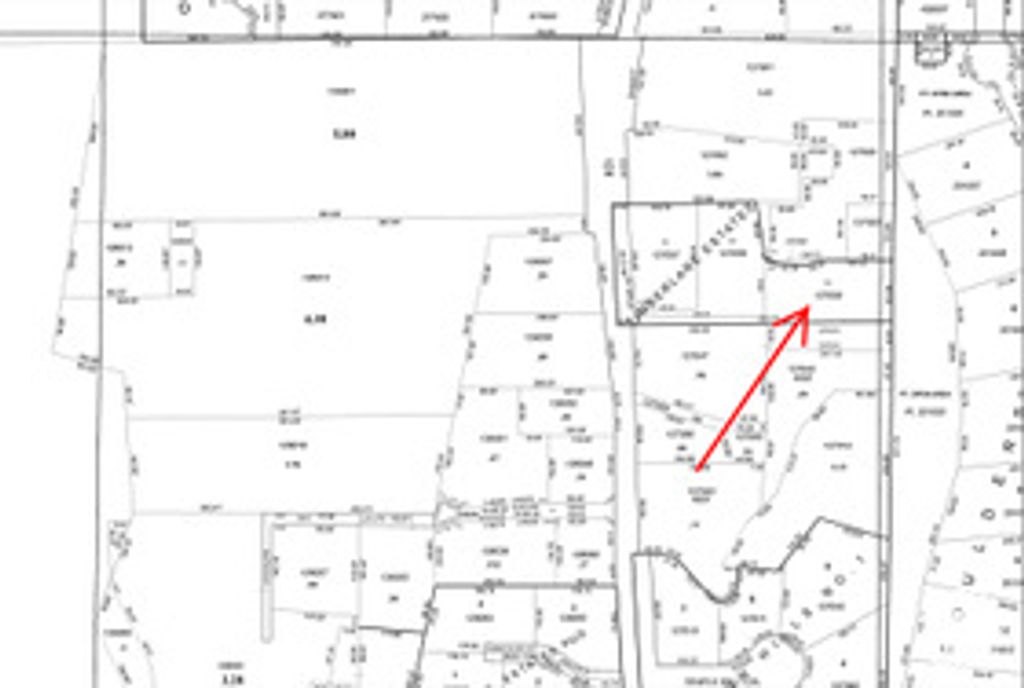
*Rare Find* Stunning Views of Wasatch Mountains in Quiet Neighborhood *Within Walking Distance to Biking/Hiking Trails, and Parks *Only Minutes Away From Shopping, Snowbird & Alta Ski Resorts, Lakes for Fishing, Water Sports, Park City, and International Airport *Includes 3 Shares of Secondary Water With 1-Inch Connection *All Utilities are Available for Connection *Zoned for 2 Horses *Please See Attached Plat Map *Buyer To Verify All Information* The sewer line runs along the paved access road. It is on drawing C-2 of the set plat. The depth varies with the slope of the road, but is very deep (appx. 8 feet) and is on the West side of the paved section of Dimple Dell Road. Developer had to dig across the road to connect there. The man hole is on that west side of Dimple Dell Road* Gas,Electricity,Cable Tv located in Dimple Dell Rd stubbed to lot line *Info from previous Owner/Developer* Private road maintained by all 3 lot owners per CCR'S* Buyer To Verify All Information*Roy Thacker from Sandy City inspected the sewer line as it tied into the main line under Dimple Dell Road. Roy Thacker and Dave Marble are available by phone 801-568-7280 for more information. This had to be inspected before Sandy City would allow Developer to re- pave the trench in Dimple Dell Road. The understanding is that no piping for sewer or water is 'old' or 'existing'. It all had to be new pipe.They think it is PVC as per code as spelled out on page C-2 of the drawings. The drawing C-2 shows the tie in for culinary water is to Dimple Dell Road. The culinary line then runs under the paved road to service each lot. *Buyer to verify all information*
DAYS ON MARKET | 222 | LAST UPDATED | 3/31/2025 |
---|---|---|---|
TRACT | TATE | YEAR BUILT | 0 |
COMMUNITY | Sandy; Alta; Snowbd; Granite | COUNTY | Salt Lake |
STATUS | Active | PROPERTY TYPE(S) | Lot/Land/Acreage |
Elementary School | Granite |
---|---|
Jr. High School | Indian Hills |
High School | Alta |
ADDITIONAL DETAILS | |
AIR | None |
---|---|
AREA | Sandy; Alta; Snowbd; Granite |
HEAT | None |
LOT | 0.56 acre(s) |
LOT DIMENSIONS | 0.0x0.0x0.0 |
SEWER | Public Sewer |
SUBDIVISION | TATE |
TAXES | 4925 |
UTILITIES | Natural Gas Available, Electricity Available, Sewer Available |
VIEW | Yes |
VIEW DESCRIPTION | Mountain(s) |
ZONING | 1122 |
MORTGAGE CALCULATOR
TOTAL MONTHLY PAYMENT
0
P
I
*Estimate only
SATELLITE VIEW |
/ | |
We respect your online privacy and will never spam you. By submitting this form with your telephone number
you are consenting for Olivia
Pelton to contact you even if your name is on a Federal or State
"Do not call List".
Listed with Coldwell Banker Realty (Union Heights)
The multiple listing information is provided by UtahRealEstate.com from a copyrighted compilation of listings. The compilation of listings and each individual listing are © 2025 UtahRealEstate.com, All Rights Reserved. The information provided is for consumers' personal, non-commercial use and may not be used for any purpose other than to identify prospective properties consumers may be interested in purchasing. Information deemed reliable but not guaranteed accurate. Buyer to verify all information.
This IDX solution is (c) Diverse Solutions 2025.